Ganesh Baug
Welcome to our exceptional property that is strategically located on State Highway 165 with a proposed 180-foot-wide highway connecting to Jaygad Port.
Just 40 minutes from Welneshwar Beach, this prime location offers unparalleled convenience and accessibility.
Enjoy top-notch amenities, including a stone wall compound with a gate, WBC internal roads, solar-powered street lights, a bore well, a water tank with supply to each plot.
Vastu compliant and secured with separate 7/12 collector NA, this property is designed to provide comfort and peace of mind.
Strategic Location on Highway 165
Exceptional Full Fledged Amenities
40 Minutes from Welneshwar Beach
Vastu Compliant Plots
24×7 Security
Collector N.A. with separate 7/12
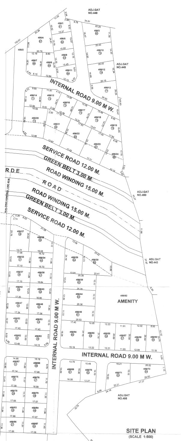
Plot Availability
| Plot No. | Area (Sq.ft ) | Availability |
|---|---|---|
| 27 | 2152.78 | |
| 28 | 2098.96 | |
| 29 | 2098.96 | |
| 30 | 2152.78 | |
| 31 | 2045.14 | |
| 32 | 2206.6 | SOLD |
| 33 | 1937.5 | |
| 34 | 2206.6 | |
| 35 | 2152.78 | SOLD |
| 36 | 2098.96 | SOLD |
| 37 | 2152.78 | SOLD |
| 39 | 4251.74 | SOLD |
| 40 | 2206.6 | SOLD |
| 41 | 2314.24 | SOLD |
| 42 | 2260.42 | |
| 43 | 2206.6 | |
| 44 | 2260.42 | |
| 45 | 2206.6 | |
| 46 | 2152.78 | |
| 47 | 2098.96 | |
| 48 | 2098.96 | |
| 49 | 2152.78 | |
| 50 | 2206.6 | |
| 51 | 2992.36 | |
| 52 | 2260.42 | |
| 53 | 3498.27 | |
| 54 | 3282.99 | |
| 55 | 2604.86 | |
| 56 | 2798.61 | |
| 57 | 3229.17 | |
| 58 | 3229.17 | |
| 59 | 2658.68 | |
| 60 | 4144.1 | |
| 61 | 3282.99 | |
| 62 | 3928.82 | |
| 63 | 3336.81 | |
| 64 | 3767.37 | SOLD |
| 65 | 4197.92 | SOLD |
| 66 | 3821.18 | SOLD |
| 67 | 4305.56 | SOLD |
| 68 | 4284.03 | SOLD |
| 69 | 3336.81 | SOLD |
| 70 | 3928.82 | SOLD |
| 71 | 2098.96 | SOLD |
| 72 | 1883.68 | SOLD |
| 73 | 2152.78 | SOLD |
| 74 | 2206.6 | SOLD |
| 75 | 2152.78 | SOLD |
| 76 | 2174.31 | SOLD |
| 77 | 2852.43 | SOLD |
| 78 | 3164.59 | SOLD |
| 79 | 3369.1 | SOLD |
| 80 | 3358.34 | SOLD |
| 81 | 2346.53 | SOLD |
| 82 | 2206.6 | SOLD |
| 83 | 2152.78 | SOLD |
| 84 | 1883.68 | SOLD |
| 85 | 1894.45 | SOLD |
| 86 | 2249.66 | SOLD |
| 87 | 3788.89 | SOLD |
Find Location on Map
- Prime location on State Highway 165, connecting to Jaygad Port.
- Proposed 180-foot-wide highway for easy access.
- Only 40 minutes from Welneshwar Beach.
Phone
India: +91 9322576849
UK: +447534547800
office@laghaterealtors.com